Karadeniz'de 'katil arı'ya karşı yapışkanlı tuzaklar devrede

Doğu Karadeniz'de kestane ağaçlarının kurumasına yol açan, halk arasında 'katil arı' olarak da bilinen böceğe karşı 'Torymus sinensis' türü böcekle sürdürülen biyolojik mücadeleye takviye olarak, yapışkan tuzaklı biyoteknik mücadele yöntemi geliştirildi.
1-16
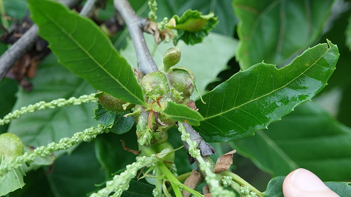
Ana vatanı Çin olan, Türkiye`de ilk kez 2014’te Yalova`da ortaya çıkan, halk arasında `katil arı` ya da `gal arısı` olarak bilinen `Dryocosmus kuriphilus` türü böcek, 2021`de Doğu Karadeniz ormanlarında görüldü.
2-16
2 yıl içerisinde Trabzon, Rize ve Artvin’deki kestane ormanlarını istila eden, ağaçların dal, yaprak ve tomurcuklarına yerleşerek yuva yapan böceğe karşı bölgede, ‘Torymus sinensis’ türü böcekler doğaya salınarak biyolojik mücadele başlatıldı.
3-16
Gal arısının yumurtalarını yiyen faydalı böcekli mücadelenin yanı sıra, Bursa Orman Bölge Müdürlüğü ve Bursa Üniversitesi’nce feromon tuzaklı biyoteknik mücadele yöntemi geliştirildi.
4-16















